With nearly a week of calmer weather, we have decided to head a little bit further north of Cairns and explore a few reefs on the very outer rim of the Great Barrier Reef offshore of Port Douglas and Cape Tribulation: Opal Reef, St Crispin Reef and the Agincourt Reefs.
There is a lot to see so we will spread this over two separate posts. Here is the satellite map:

You really feel you are a long way offshore and right on the edge of the precipice where the continental shelf ends and depths of over 1000m begin, yet you are only about 30nm from the coast. The passes between reef platforms vary in width, with broader ones like the Trinity Passage near Cairns and narrow ones as you progress north along the Ribbons. With the broader gaps, you get some bigger ocean swells rolling in as there is nothing between you and the Solomon Islands.

For those wondering when we are turning back, it is unfortunately very soon. We have reached as far north as we will go this year. We would have liked to get to Lizard Island however we have commitments back in Cairns, then further south at Mackay and the Gold Coast at the end of the year, so unfortunately it won’t happen. But this makes these last few reef explorations in Far North Queensland all the more special. There has been a marked changed in temperature – the “build up’’ to the wet season has started: 300C plus air temperature daily with higher humidity and a noticeably warmer ocean at 240C currently.
Opal Reef
Our first stop after leaving Cairns was Opal Reef which is true to its name: iridescent turquoise, aqua and ultramarine, with flecks of yellow and tan, just like an opal.

There were a few bommies to steer clear of on arrival, but overall access to a beautiful sandy area was straight forward. We are getting comfortable using SAS Planet satellite images to identify anchorages and plan our approach to reefs we have not been to before. We got to Opal Reef first and our friends from Oceaneer and Clair de Lune joined us a little later.

You might feel like you are in the middle of nowhere, but being so close to the coast, you get runabouts and game boats tucking into the lee of the reef for the night after a day’s fishing. They arrive on dusk and depart at dawn for their foray in the Coral Sea. We saw a dive boat with its load of tourists from Cairns but it only stayed a couple of hours and moved on. All this to say you will not have Opal to yourself, but it is a lovely reef. Although damage is evident, the reef is recovering from storm and heat stress with vigorous coral growth and an abundance of big fish.
This reef has been afforded a high level of protection which clearly helps. Half of Opal Reef is in a green zone (no take whatsoever), the other half a yellow zone but with the additional layer of restrictions added as a Public Appreciation area – line fishing is permitted but not spearfishing. Spearfishmen, divers and snorkelers don’t mix… would not want to spear a tourist! The Marine Park boats patrol to ensure compliance!
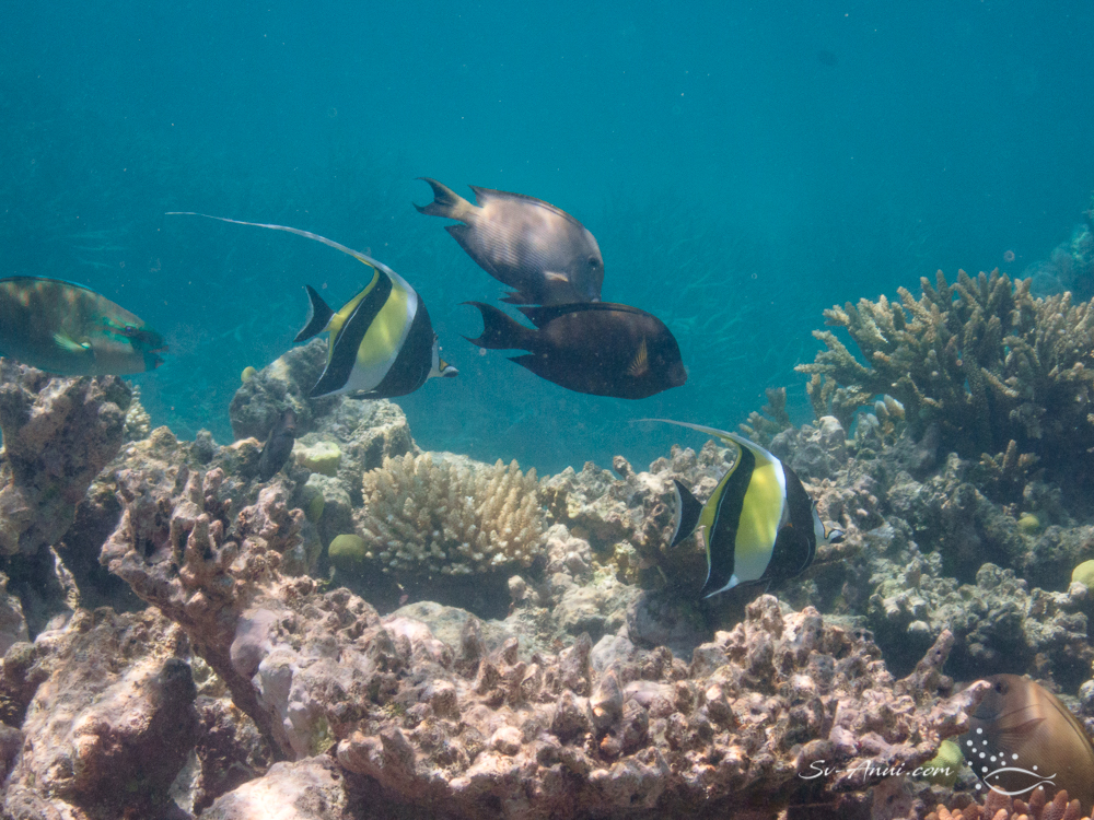
We snorkeled along the edge, at one end of the reef and off a large isolated bommie which was the best of the locations. The water was crystal clear, coral variety and density was good and the highlight for us were the swim throughs, 8 to 10 meter deep little gorges lined with beautiful gorgonian fans. Good freediving practice but it uses a lot of energy!
Here is the pick of our underwater photos.
Wade and Tam went out on the ocean side and caught two fish on the line from Wally, Oceaneer’s dinghy – a beautiful dinner of sashimi and tempura coral trout that night on Oceaneer was very tasty and convivial! Then the next day both Clair de Lune and Oceaneer caught a tuna… more sashimi and a freezer full of fish!
St Crispin Reef
We woke up with the boats back to the reef… time to move! With a light NE forecast, Anui motored 10 miles on to St Crispin for an overnight stay while Oceaneer and Clair de Lune went to Agincourt.
Coming into the northern end of St Crispin is an education in evaluating the depth of the bommies. “This looks dark, must be deep enough to go over… This one looks aqua and tan, better dodge it!” We were very much alert: satellite chart on display, Wade at the wheel, Chris on the cabin roof, both of us with the headphones on to help find our way through the coral outcrops. Our original intention was to anchor at the very top, but with too much current flowing, we opted to search for a calmer alternative further south along the reef. With a bright day and the sun high in the sky, the visibility was excellent and after some searching we hit the jackpot: a very large sandy area in 4m of water at dead low tide… perfect arrival time. As is our habit, we flew the drone to check out our surroundings from the air. You can see the extent of clear sand we anchored in. Two other yachts were in the shallows and a research vessel was anchored further out.


We often say that each reef is different and each dive within the same reef system is individual too. St Crispin is no exception. What a spectacular place! We had two long snorkels at the northern end in the maze of gutters.
As soon as we got in the water, we spotted reef sharks surveying the area. That got us in the mood straight away, but they were not interested in us! Fish life was abundant with lots of bigger fish: Queensland Grouper, Giant Oystercrackers, Snappers, big Coral Trout, as well as a variety of beautiful Butterflyfish and elegant Moorish Idols. We went up sandy gutters where lots of fish patrolled. The coral was damaged but recovering, with an interesting mix of Acropora fields, large porites (a stony coral in purple and brown), as well as soft corals gently quivering in the current.
Here is a selection of our finds.
We hope you get a feel for each reef’s personality through our posts and slide shows. Next week, we will take you to one of the sensational Agincourt Reefs which are at latitude 15o South, the furthest north we have been to date. If only we could keep going!




























Wow, I do see the differences in the reefs! It’s so incredibly beautiful down there, thanks so much for this! ❤️🇦🇺
Glad you do, John and enjoy the posts. We are so lucky to be able to see these and move around freely within Queensland when so many people in other states can’t.
That’s wonderful, you two are so blessed!
Awesome photos. That reef looks like one of the best so far. Thanks heaps!
Hi Craig, yes Opal and Crispin were good, particularly if you went to the isolated bommies for snorkeling. But you wait for the next post! Anchoring was the best to date: clear sand, no stress.
Enjoyed seeing the fish, they are a treat, as is the coral. Glad you are enjoying this part of the world
These two reefs and the next are probably the best we have seen to date, Sue.
we get out of lockdown on Monday, yippee. Be able to go out to eat, if you can trust everyone has been double vaxed, meet with friends, golf back to normal. can only hope the none vaxes behave and there is not a surge in case numbers
Suspect there will be a spike!
Wow and more wow! Enjoy the last of the dry season guys, we’re with you in spirit ….
That’s what we say too every day with venture out or down below. The last few weeks have been special. But it’s already getting hot and sticky, Elgar! We won’t stay here for much longer.
The colour and clarity of that water is amazing. I’m not jealous.
Are you telling porkies, Phil? 😂
Yeah, me too Phil, definitely not jealous 😉
Fabulous photos, as usual. Oh to be snorkeling in the tropics….Very jealous!
It has been fantastic,Trish… lots of discoveries.
Spectacular drone shots are becoming the norm for you, Chris. I especially liked the opening ones with the Anui first and then the arrival of the other two cats. I am amazed by the clarity of the water. The colors of the fish and corals and other vegetation really pop. What grabbed my attention especially was the visible texture of things like the soft coral and the giant clams. Wow! I am not sure that I would enjoy swimming around with sharks in the water, but I am sure that you know which ones are ok and which ones to avoid.
Hello Mike, thank you for the feedback. Yes getting better at planning the drone flights and sending it high enough and far enough to get the view I want. With the underwater shots the water at the outer reefs is much clearer and if not too deep the colours are vibrant. The deeper you go the more you lose this, particularly the reds. As for the sharks we mainly see the reef variety which are not an issue. You just stay alert and keep an eye on them… different matter in turbid water!