One of our must see attractions while at Orpheus Island is a visit to the now abandoned giant clam nursery located at Pioneer Bay. The nursery was started in the 1980’s as a way to grow clams to stop their near extinction from poaching and over-harvesting of reefs.

A combination of increased commercial demand, coupled with technological advances in exploitation as well as climate change, pollution, habitat loss and coastal development have all impacted giant clams. The population of Giant Clams, and in particular the Tridacna Giga is gravely declining and their survival is now threatened.
Out of 31 sites in the world where natural wild population of Tridacna Giga were known to be present, the species are either severely depleted or can no longer be found at 26 of them. The nursery at Orpheus is an example of a successful restocking and conservation project, with many of the clams transplanted onto various reefs and islands of Queensland.
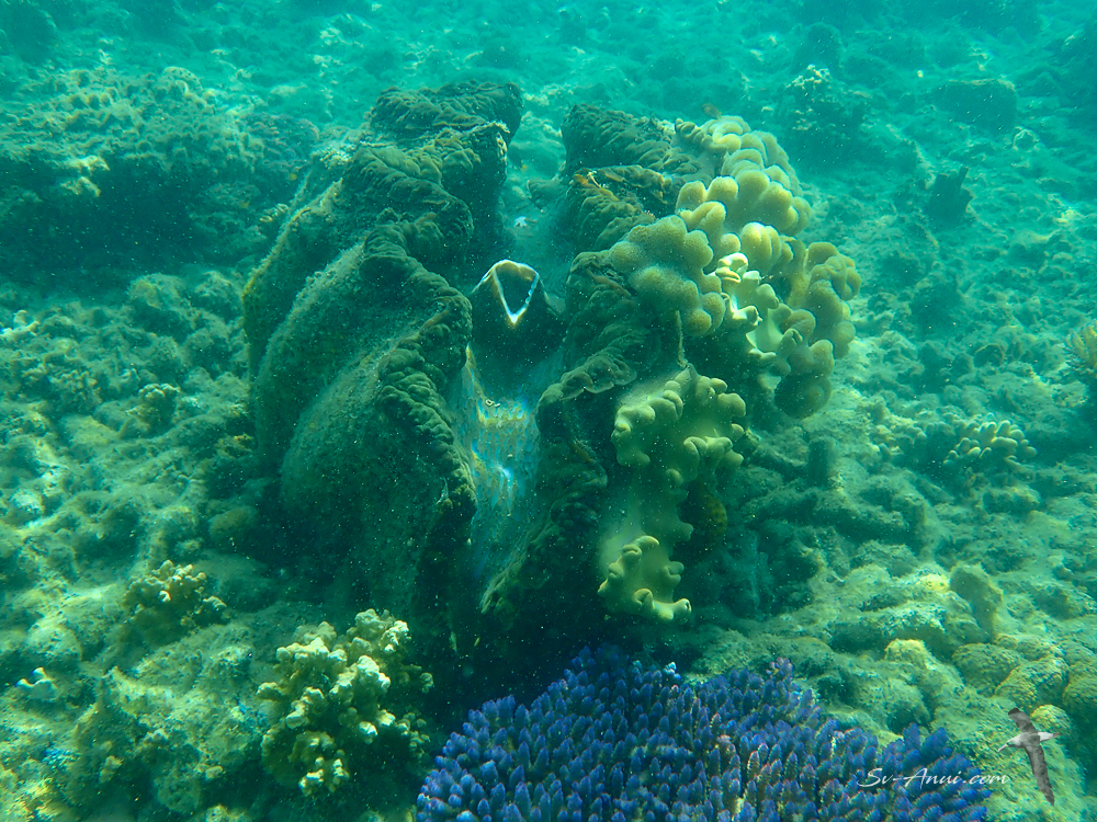
There are now hundreds of the true giant clams, each weighing 150 to 200kgs, and stretching between 90cms and 130cms in length. These are three to four times the size of the small giant clams – tridacna maxima – which we have photographed so often.

They have a rather drab exterior, but a huge colourful mantle mainly in greens and golds with blue speckles. It was astounding to see so many in a veritable garden.

These creatures are the world’s largest bivalve molluscs and live for up to a century. They are filter feeders. Water enters through the syphon you see in some of the photos, and passes through the gills where oxygen is extracted and plankton is filtered. The water is then expelled through their circular aperture. At low tide the top of the shell are out of the water and you can see them squirting water like a geyser!
We visited the clam garden a couple of times, and found it was best to go an hour or two either side of low tide to be able to swim over them. Here is a slide show of our favourite shots. Swipe left to move through the images.
These two get cold really quickly, and got out of the water, but could not help peering down from the dinghy!

See you at the next hop: Hinchinbrook Island!

























Amazing! I’ve never seen giant clams. Gorgeous pictures, Chris. 🙂
The most amazing part was seeing them in such numbers, HJ. We had seen an isolated one before in the Whitsundays, but having them in a kind of garden like that was overwhelming.
Wow! Incredible photos! Who knew – giant clams!
They are very large. When you see a person next to them you get a sense of the size.
Didn’t know about these. Brilliant photos as usual. Stunning
Thanks guys. You should put this spot on your destination list – there are public moorings not far from there too. You can see the clams with your bathyscope if you don’t want to snorkel.
I’ve seen some in Fiji before but none as big as these. And so many! Amazing!
Hi Craig – nice to get your comment! Yes this was a nursery, hence the numbers. There were hundreds! Not as colourful and varied in patterns as the Giant Clam Maxima but astounding as a group. The funniest thing was swimming over them at lowish tide and getting squirted… like a big jet on your belly or legs as you went past!
Amazing pictures of the giant clams.
They were quite a highlight for all of us, Barbara. 😊
Oh wow, they look really amazing.
They were quite a sight in such quantity and size!
Wow! You wouldn’t want to put our foot into one of those ….
They do close in a bit, but not fully and not fast, so not as risky as you might think!
Just catching up on your stories.
Wow….. Those clams are amazing!!!
What a beautiful creature. Do you know how long they take to grow to that size.
Hi Grant – they grow at 8 to 12cm a year, so about 10 years!
Pingback: Reefs Offshore of Hinchinbrook | Sv-Anui
Pingback: The Greatest Great Barrier Reef Honeymoon Guide