It is always exciting when you do something new and an Outer Reef escapade to Hook and Bait Reefs rates high in our book. In fact this was one of our bucket list items while in this region.
As soon as the SE eased and lighter variable conditions were forecast we were ready! We made our way from Macona Inlet to the top of Hook Island, mooring overnight at Luncheon Bay. First thing on Saturday morning, we took off for a slightly bumpy ride, all sails out, headed for Hook Reef for starters. We figured we would anchor there, then spend the next days exploring further to Hardy or Bait Reefs if the breeze stayed light.

Leaving Hook Island

Bengie is studying the chart looking for a beach – no such luck at the reef!

Arriving at Hook Reef

Just anchored in the aqua water!
We got there just after low tide and went straight for a snorkel, Wade armed with the spear gun, me with the underwater camera! We did the same again the next morning. We were not disappointed. Wadie caught some sort of Sweetlip and a Snapper – a treat for our tummies for two nights, and I a collection of colourful fish and vibrant seascapes – a treat for the eyes.

A cloud of little pullers rushing by! My all-time favourite underwater image.

Blackback Anemonefish playing hide and seek.

Giant Clam showing its iridescent mantle

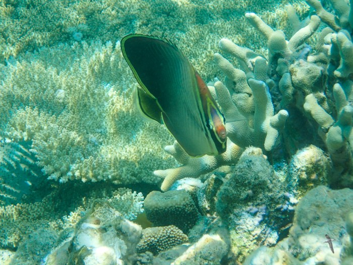
Triangular Butterflyfish

You again! Wacha looking at?

Coral garden in soft pastels.

Fish highway! It is amazing to swim in the middle of a bait fish ball.
A few hours later we are sitting inside the horseshoe of Hook Reef at high tide and look around: not a soul about, it looks like we have anchored in the middle of the ocean… very surreal. And in the morning, the sea is totally flat as far as the eye can see, not a breath of wind, not a ripple in the water. It is so otherworldly.

Sunset and no one around

Take It Easy first thing in the morning! Worth suiting up for a snorkel before the wind picks up.
On days like this, the outer reef is incredibly serene, the water clarity stunning, the snorkeling superb. It is also what you are looking for when anchored in such an unprotected spot. Ideally you want no more than 10 knots breeze. When it blows over 15 knots it gets very uncomfortable, particularly at high tide when there is no shelter. So at this time of year when the trade winds are active and running at 15 to 25 knots, the weather window to be out there is short, typically a couple of days, then you have to beat a retreat. The advantage of Hook, Bait and Hardy Reefs is that there are not far from ‘safety’. You are only about 20 miles from the Whitsunday Islands and about 40 from the mainland.

Glug glug glug… TIE’s disappearing act or is it one sinking diver?
With the breeze forecast to pick up on Sunday night, we left Hook Reef and had a quick look at Bait Reef, just a few miles away. This is another fascinating spot which attracts commercial dive boats to the wonderful site of The Stepping Stones. You can’t anchor there, but there are 8 or 9 public moorings available for two hours. So you don’t get that feeling of being away from it all, can’t settle there for the day and have to share the spot with lots of tourists! We had a brief snorkel there at mid tide. The Stepping Stones are 18 flat-topped coral pinnacles which have an abundant variety of fish and corals. Definitely worth a look for the novelty of the pinnacles, especially for a dive with tanks, but Hook Reef wins for anchoring and snorkeling in private for as long as you like!

Aerial of The Stepping Stones – from Sailing Whitsundays Australia

The view from the deck!
We reluctantly returned to the islands on Sunday night. There are other exciting things to come later this week though, as we pick up our friend Sue on Thursday at Airlie Beach. And who knows, we might very well go back to the reef with her if the weather allows – a return to Hook Reef and an explore around Hardy and Line Reefs are on the cards!



Such beautiful photos, wow!! TIE looks great floating on the flat water too. ❤️🌴
Hi John – glad you like them… it was so peaceful there. We want to go back, but need the right conditions.
I would wait too. Be safe guys, have a fab time. 😎
Thanks John. Always nice to get your comments and encouragement.
🤗🌴😎
Fantastic pictures all! Good job Chris! 🙂
Thanks H J. It was really special!
Really idyllic places; great experiences for you both. Pity about Bengie’s walks !
We are camping on land at Orbost !
Hi Doug. It’s magic when it is calm. Such an amazing feeling. Enjoy the camping! Maybe you can check out the Skerries from the land!
Terrific timing to go to the Reefs…and waking up to such calm water. We would have loved to have dived those reefs with you guys, with the viz being so great. Great time of the year to be in the Whitsundays!!
It’s magic at the reef… especially in such conditions. Pity it’s short lived, but we hope to go back soon. The visibility particularly on the second day was amazing. No sand or particles floating in the water so perfect for underwater photography. The fishing was good too!
Wow. The colours on the Anemonefish and the clam really pop.
Thanks Greg, nice to get your comment. The visibility was excellent especially on the second day. You would have loved it! And Wade had fun spear fishing too.
Great pics Chris – as always regarding the life on water ….. happy for you 🙂
Hi Trev, days like the ones at the reef make the hassles of the previous few weeks disappear. It is all a balancing act and right now we are on a high! You’ll have to join us next year! Are you in Tassy yet?
Here I come, 2 more big sleeps. It looks fantastic, can’t wait
We are now at Airlie Beach. Reprovisioning and laundry day tomorrow then we are ready!
So beautiful. Can’t wait to come see you.
Well back to work on my boat.
Cheers Dean
Hey Dean, nice to hear from you… keep at it, it’s worth it.
Hi Chris and Wade,
Finally signed up again under my new email. Looks like things have been going really well for you both. Beautiful photos. Just got the report that a a swimmer of a yacht got munched by a shark earlier today off the Whitsundays – hope you guys are ok.
Craig.
Good to have you back on our followers’ list, Craig! Yes we heard all the commotion on the marine radio. It happened in the cove we were in yesterday! Never a good idea to swim at dusk in turbid waters, but a bit close for comfort.
Yes it made the news in the UK as well. Not good for the local tourism business I suspect. Wonderful pictures.
Thanks Phil … good incentive to be out on the reef when the wind eases!
Still can’t get my head around the millpond conditions: yet anchored 40 miles offshore! Absolutely beautiful. Great photography Chris.
Thanks guys – the conditions, the fact we had the place to ourselves, the variety of seascapes and marine life… memorable and leaving us thirsty for more!