This week we are taking you reef hopping to two sites that were new to us: Lodestone and John Brewer Reefs. Discovering new spots is always exciting. We had heard a lot of good things about those two from fellow cruisers so were hoping it would be fun and it was!
Here is the satellite map of the area again so you can orientate yourselves.

Lodestone Reef
We got to Lodestone Reef in sunny weather with a 10 to 15 knots breeze. We were so lucky to have this place to ourselves. There is a public mooring there which we took, but there is plenty of clear sand to anchor in 8 to 10 meters of water, so no stress!
This reef system is a large platform reef, edged by coral and a network of gutters and bommies at either extremity. You can get a good overview from the aerial shots which clearly show the live coral heads in brown. Although a bit breezy, Chris managed to send the drone up the highest to date and far enough away from the boat to get panoramic views of the reef system.


A good thing at Lodestone is that fishing is permitted. Wade caught us a large coral trout and a smaller sweetlip. The catch provided some very tasty meals for us and Bengie who had a special birthday treat! She is a bit partial to coral trout and has demanded more at every meal since!
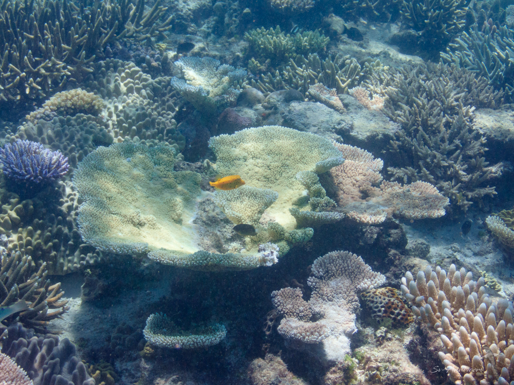
The reef was quite healthy, with lots of plate and branching corals in tight formation. There is a lot to explore and we only investigated one little area. So much more to see!
Luckily a week later we snuck out again to Lodestone from Magnetic Island. We took off for a short escapade during a break in the weather. We snorkeled in the maze of bommies to the left of the boat. Here is an aerial view of the area.

This time around we saw a few interesting critters as well as the usual corals and smaller fish: a huge ray (about 1m20 in diameter), a grouper, a spine cheek clownfish which Chris was so busy observing she got a surprise when she looked up and saw two whitetip sharks circling at rather close quarters. Here is another slide show from our second visit:
Birds were plentiful at Lodestone too: terns, booby birds, noddies. One particular noddy broke our heart. We called him Speckles because he was covered with white flecks (we later found they were splashes of guano). He came on board at the previous reef and stayed with us for two days, flying around the boat, landing on the front, resting on the boom, the deck, the sugar scoops. When we woke up the second morning, Speckles was looking rather worse for wear on the back step. We went for a snorkel. When we came back he had died. Very sad, but he chose Anui as his last resting place which is special.
John Brewer Reef
Now this reef has been on our wish list as well as that of our friends on Oceaneer. So we had a rendez-vous there on the last good day of calmish weather. Only 10 miles from Lodestone, it was a quick and easy hop, but we were warned John Brewer is a bit of a minefield with bommies, particularly if the two public moorings are taken. We could see about 8 masts in the distance as we left Lodestone! But never doubt… as we were closing in, several boats were leaving, including our friends on Bossa Nova! The two moorings became vacant and we had our pick of the easiest one to get to.
John Brewer is a kidney shaped ring reef with a large lagoon. There are several gaps in the reef wall on the northern flank allowing boats to get inside, but the quantity of coral heads makes it a challenge to navigate; you certainly need good light to weave your way in and out, a spotter at the front… and you’d better record your track! It is not one for the beginners or faint hearted!
This is what one quarter of this reef looks like from the air. It is really vast so hard to capture in its entirety.


Now there is a reason John Brewer is so popular and on our target list: the museum of underwater art, which is located in 18 meters of water at the NE end of the lagoon (top right hand corner of the panoramic image). Best to do this with scuba gear as the art installation is quite deep, but at the very least we had a chance to practise our freediving! The museum has been created to inspire and educate people about reef conservation. There are sculptures, a greenhouse with statues of scientists and children studying the coral, coral garden beds, all this with fish swimming around; it is fascinating. Here is a link if you would like to find out more. https://www.moua.com.au/
The site will be transformed over time into its own ecosystems thriving with marine life. Dee and son Riley on Oceaneer scuba dived and filmed the inside of the greenhouse with wonderful clarity.

These are photos from our own descents and ascents!





The snorkel along the reef wall was also sensational, with an abundance of fish. There were schools of pullers, fusiliers, damsels, sergeants and larger fish like batfish, barracudas, Maori wrasses, all cruising along luxuriant gardens of soft and hard corals. You can see layer upon layer of plate corals covering the walls, soft corals like the sarcophyton, numerous crinoids and gorgonian fans. It was astounding!
This slide show clearly displays what a thriving reef looks like!
It is heartening to see that the reef is quite healthy in an area which is not far from the coast and frequently visited. We hope we continue to enjoy these discoveries.
The weather is of course always in charge of the duration of our reef escapades. But with no hurry nor particular destination to reach before we turn around and go south, we can linger!
We have been anchored at Horseshoe Bay, Magnetic Island, during the persistent strong winds. It is nice to be able to go for bush walks and attend to a few maintenance projects. But having spent longer than we had hoped in this spot with 100 other boats, it is time to move on! We are leaving tomorrow and we’ll resume our reef hopping north.







































Wow, the reefs are absolutely beautiful! So are the photos of you guys underwater, worth the risk to see such beauty. Sorry about your bird friend, poor guy. Thank you again for sharing this beauty! 🇦🇺❤️
Glad you enjoyed this post, John. With several states in Australia in lockdown, and Covid continuing to limit activities in other parts of the world, we feel very lucky to be able to spend time at the reef whenever the weather allows.
Blessed! 🙏🏻
Wow. The resolution of the drone camera is impressive. The Anui looks so tiny in the first two shots. Was the drone even visible when it was flying so high up? I have never seen coral up close and the colors and textures of the coral in your photos, Chris, seem other-worldly. I love seeing all of the tiny colorful fish too, as well as the larger ones. I am particularly impressed by the size of the fish that Wade caught. Wow! It was great to see the action shots of your diving–I remember well all of the training you did.
The Reef when healthy as these two are is a feast for the eyes. You actually get sensory overload and there have been many times when a garbled oh wow, or oh damn, escapes underwater because you are so amazed or startled!
I totally understand what you mean by sensory overload, Chris, and imagine that it is even more incredible when you are literally immersed in your environment underwater and are experiencing it in a way that has no parallel for those of us who live on dry land.
Amazing, the reefs are looking better now from when we saw it a couple of years ago. John Brewer reef looks very interesting, can’t wait to get there. Thanks again for the Beautiful pics.
Pleasure Penny. You might have a chance with this coming weather window!
Fantastic photos, Chris! I’m sorry about Speckles the noddy. Have fun my friend. 🙂
Thanks HJ, it’s nature isn’t it!
Hey guys the drone photos were amazing and the reefs look spectacular.
That sounds like a huge amount of yachts at magnetic island, amazed there was any room left.
Thanks guys – it’s a bit much for our liking but it is a huge Bay so not too tight amazingly. The reef was good… back out there tomorrow for a few days.
Great drone shots! I was shocked to see the photos of the Museum of Underwater Art, I don’t understand why anyone who loves the reef would put such a thing in a pristine environment. Enjoy your escapades ❤
Hi Maree, you make a good point. I guess this is like other artificial reefs except that in this case it is within a thriving reef already. It brings people to the reef and if visitors understand the fragility and beauty they are more likely to help protect it. But too many visitors can also be what damages it. So mixed feelings about this installation!
Great pics Chris …. Wade looks especially pleased with his catch! We can almost taste the fresh seafood from across the world ….
That coral trout was excellent. We ended up having a few meals: sashimi a couple of times, lightly cooked filets… The Sweetlip was pretty tasty too, but give us a coral trout any day!
Yuuuuuuummmmmm …….
Hi again from 18 mths of COVID and lately 3 months of hard lock down. But good news for us is that come Monday the lockdown will be eased. We can then gather in small groups and go to some restaurants etc. this is in spite of rises in the no of cases and deaths, but we will get there. I can finally get a hair cut!!!
I loved the post Chris, the coral was lovely as were the fish. You caught the reef well with the drone. Well caught Wadie, good eating too. Don’t know I like the sculptures on the reef, we humans invade everything. Chris you have to watch for those sharks, maybe get one of Wadie’s gadgets. What a shame about speckles, I guess it was not possible to catch him and give him a wash.
Welcome back Sue! Hope you can slowly get back to a less restrictive life.
I tend to agree about the art installation being incongruous in the middle of a thriving reef. It was novel if nothing else.
The reef sharks were curious and I was certainly alert while they were around. My ‘escape’ route was swimming over the huge ray… I was very streamlined and did not hang around for a photo of that beastie up close!
Since Speckles we have had another noddy die. Wade found that one in the cockpit and only told me much later so as not to upset me. But we have also had a few just rest for a while then fly away. They are incredibly tame and unafraid of us.
Thanks for the very timely info. I am at horseshoe now and missed you by a day. Heading to Lodestone tomorrow on a friends boat. Looks amazing.
Glad the post comes in handy, Graham. Sorry we missed you. Have fun!