We caught our breath in the Whitsundays for a few days after arriving from Cairns and we held it too with some massive thunderstorms descending on us. But then the reef sirens seduced us again and we had to go.

We watched the weather both inshore and offshore and decided we’d go back to the reef: lighter NE, sunny, no storms… I know, I know, call us reef junkies!
Off to Little Black Reef
It was still a bit breezy, so we played it relatively safe by heading to Little Black Reef, a gorgeous protected lagoon we have been to several times before, located about 45nm NE from the bottom of the Whitsunday Island where we were.


We love it out there. There is something indescribable about the feeling of being anchored in a shallow turquoise lagoon in the middle of the ocean. And it is especially so when other cruisers think it is too windy and give it or miss or have already gone south. We spent three days there with initially 15 knot winds, then less than 10 knots and glassy conditions. We were the only ones inside the lagoon. Several superyachts came over during the weekend and anchored on the outside, a long way away from us.
We hoped we would find Little Black and nearby Block Reef in the same vibrant condition we saw last year when we were there with our friends from Bossa Nova and Aqualibrium, but unfortunately this was not the case. We found the reef terribly damaged by large scale bleaching. It is so disappointing. Fish life is still abundant but the coral is drab, colourless, with invasive algae.

We snorkeled in different spots, first inside the lagoon in the area to the starboard side of Anui in the panoramic above. The coral damage was extensive. The current was also strong and visibility reduced. We suspect the big tides contributed to lots of particles in the water. Here are a few images. You can see the state of the sea floor around the big brain corals.
We later dinghied across the channel running between Little Black and Block Reef to snorkel the edge of the drop off, hoping for much better conditions as we found last year… It was poor there too.
Despite all this, Wade caught us a coral trout, Chris saw a nudibranch and the usual family of Blackback Anemonefish… So it was not a total waste of time but we were dismayed to see the reef in such a state.
Maybe we have seen so much of the Great Barrier Reef this year that we have become choosy and accustomed to far better conditions, but when we look at our images from last year, there is no denying that bleaching happened since then. Here is a link to last year’s post. You can see for yourselves. https://sv-anui.com/2020/10/30/reef-addicts-gathering/
A check of Block Reef
We decided to put our explorers’ hat on and check out an isolated lagoon in the northern part of Block Reef, much further offshore. This lagoon is shown at the top of the satellite image below, just above the Block Reef name. We hoped it was far enough offshore and closer to the outer reefs to have been spared. We did not want to move the big boat quite yet, not sure of the depth and protection we would get there. So instead we used our Speedy Gonzales dinghy to do a reconnaissance trip, 5nm across the reef platform at high tide.

It was just as well we did not take Anui through the deep long channel running between Block and Circular Quay reefs – a 16nm trip with the tide cooperating. Not only was there a lot of ocean swell rolling around and into the lagoon even in nil wind, but the reef was damaged there too: only rubble and algae. This entire reef system has been cooked by extreme temperatures last summer. Such a large area is affected!
We felt quite depressed by our find. We snorkeled on the way back along the channel at slack water high in search of something positive.
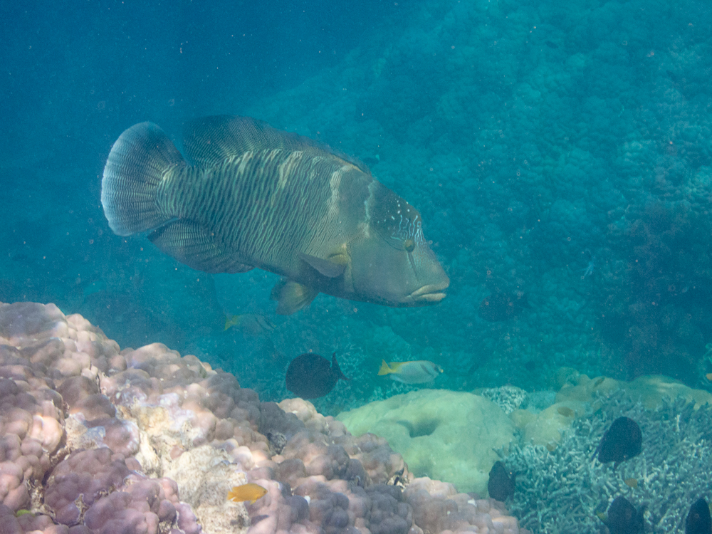
Interacting with a Humphead Maori Wrasse provided some light relief. Although he was not as tame as the one in Agincourt, with time he came closer to us. We were just floating around calmly, hardly moving, just watching him. He was curious, doing wide circuits around us, back and forth, and eventually he came closer. Here is a slide show of this wrasse and a few other critters we enjoyed.
Our stay at Little Black is yet more evidence of the damage the coral has been suffering particularly along the inner reef shelf. Although it is a dreamy place in calm conditions above the surface, we cannot help but feel terribly sad at what is under the surface and stunned at how quickly destruction happens with dreadful results. At this rate there won’t be anything left of the GBR in a couple of years, particularly if another mass bleaching event occurs. We feel powerless. How do we stop this? What can we do? Do you know?

We had a few more days of light conditions, but decided there was little point in continuing on the current line of inner reefs further south, as we would see more depressing damage. We also did not have enough time to head to the outer line of reefs before returning to Mackay next week. So we came back to the Southern Whitsundays and island hopped to Lindeman, Brampton and Keswick islands. We will be at the Mackay marina over the weekend ready for maintenance on Monday.


















Just missed you! We (finally) left Mackay Marina on Tuesday.
OMG you were there all this time! What have you been up to?
Painting in Tassie…took longer than we anticipated!
Well, we are taking your spot at the end of C arm!
Wow, I’m sorry about all the reef damage, it does look terrible. I hope the entire GBR can recover over time. The sunset photo is absolutely beautiful!! Keswick and St Bees look so inviting, those sandy beaches are gorgeous. Anui is a big boat but she looks so small from the drone’s perspective. I hope Anui never takes a lightning strike, so terribly dangerous. I suppose the boat has a few sacrificial anodes? Have a great weekend, guys! 😎🇦🇺
Howdy John, the parts of the reef closest to the coast are the worst hit. Between the storms, the heat stress and the agricultural runoff, the corals get a huge battering and have little chance of pulling through. The outer reefs are in better health and show vigorous growth.
The islands are beautiful and to get both Keswick and St Bees in the shot, I had to go far and high… so yes Anui looks like a little dinghy!
Howdy! I never considered the runoff of chemicals, that’s terrible!
More on this in a separate post.
So sad to hear this news Chris. We had two visits to Little Black with you last year, both were memorable visits to a healthy and colourful reef. Wow. How so quickly this is happening to our beautiful coral reefs. Bossa
Yes it was shocking. The inner reefs are all really struggling. On the way down from Cairns we were hopping along a few of the inner reefs and they were not great from a coral health point of view. We have got used to expecting sparse or dead coral inside inlets and shallow lagoons, but not on the outside of reefs so seeing the channel edges along Block Reef so drab was disheartening.
Well with regard to what we can do to help the reef, one thing is to VOTE in the coming Australian elections. Have a good look at the candidates and parties we can choose from, consider their history and beliefs, and pick the least worst alternative. And encourage others to do so too.
For myself at present, I’m looking for candidates/parties that will act swiftly to reduce global warming. I think that’s the most important issue.
Spot on Murray! I know who I am not voting for…
Hi Wade and Chris
Enjoyed this blog, especially the pics, but bad news about the degradation of the reef. Bad luck about bumping the boat in that narrow entrance. You will be on frequent flyer points with that boatyard in Mackay!!
Am back in Brisbane now, boat went very well and am getting more confident with it.
Hope to see you two and maybe even join you for a reef trip next year.
Fair Winds and Clear Passages
Simon
Hiya Simon, Glad you enjoyed the post. Yes the inner reefs are not in a good state. It is better on the outer reefs but a lot further to go.
Haven’t bumped the boat in any narrow entrances this year so no bad luck for us… You must be thinking about us trying to get into Hardy Reef a couple of years ago.
Back at the Mackay marina for a few days but no haulout and hopefully not for long. See you around!
Great reporting once again Chris, it feels like we’re there with you in your intrepid adventures! Bet that coral trout was yummy, nice provisioning Wade! Enjoy your dose of everybodyelseworldliness….
Thanks Elgar. Good to hear the post hits the spot. And yes, everybody on board – pussycat included – likes coral trout!
It is so sad about the reef and Scomo took such a poor plan for Aust to COP.
Hi Sue – yes we were shocked to see the deterioration.
Scomo is a joke – no leadership, no vision, no diplomacy.
Maybe unlucky on choice of reefs as the latest report on the GBR notes that “In 2022, the GBR continues to recover, registering the highest levels of coral cover yet recorded in the Northern and Central regions over the past 36 years of monitoring. While recovery continued on many Southern GBR reefs, regional coral cover declined slightly due to ongoing outbreaks of crown-of-thorns starfish in the Swain reefs. Importantly, the trends of coral cover are highly variable across the GBR, and most reefs had between 10% and 50% hard coral cover.”
But the long-term prognosis is just plain scary.
Hi Bill, well that’s encouraging but not an experience! Even as far as in the Coral Sea, we are finding the worst damage we have ever witnessed!