A little like last year, we have been lucky to catch a ride south on the long-awaited northerlies. We sail little hops of 15 or so nautical miles, go for middle of the day snorkels to survey the reefs on the way down and get some relief from the extreme heat. This is a longer post, so you know the drill: make yourself comfortable and enjoy the reef hops and snorkels.
Snorkeling at the Great Barrier Reef is like being on a seesaw this year: one day things are dire and you see depressingly degraded coral, barren substrate and depleted fish population, yet the next you feel elated as you visit a reef in good condition, with healthier coral and critters that delight you. It is hard to understand how reefs so close to each other can fare so differently.
Here is our track since leaving Cairns 11 days ago. You followed us to Britomart Reef in our last post, and we are taking you down to the Darley Reefs in this one.

Lodestone Reef
Lodestone Reef was striking from the air, but disappointing underwater. This once beautiful reef was badly bleached, with much of the coral covered with brown algae and looking very sad.


Keeper Reef

Keeper Reef on the other hand, just 10 nm further south, was very much true to its name, a real keeper with clear water and glassy conditions shining on reasonably good coral and fish life. You could see some algae covering bleached plate coral, but on a smaller scale than at Lodestone.
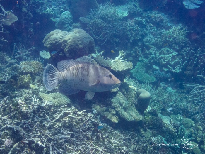
Wheeler Reef
Wheeler Reef, another 15 nm south, was superb with great visibility and because in a northerly it is exposed, we explored the SW side of the reef with its deep spectacular gutters patrolled by larger fish. It would also have helped that Wheeler is in a green protection zone.
We got a couple of nice aerials for the first time there too, which was really pleasing as they show the round shape of the reef, its sand cay and the depth of colour right around the reef. Although the sand cay looks quite big, only a very small area is above the water surface at low tide.

What was not so good there was the complete lack of protection in a northerly. But we were hooked onto the public mooring, so safe. We had a rock and rolly night, as we expected. That is the price we paid for a great snorkel.
Little Broadhurst Reef
Next was Little Broadhurst, you guessed it, 15nm further south. Being hidden inside the reef gave us some shelter from the slightly stronger northerlies which were forecast. This reef is probably one of the only reefs offering some protection in a stronger northerly, so we stayed there two days while waiting for the 15-20 knots to abate and calm conditions to return. You see we had our eye on a reef further down for our next hop, one we had not been to before. If we chose to head towards the coast to Bowen for shelter, we would then keep going straight to Airlie Beach and the Whitsundays and miss out on it. So we took a punt and stayed put in a slightly bumpy anchorage!
As you can see from the aerials of Little Broadhurst, the inlet Anui sits in is on the edge of a much larger and deeper lagoon. We were anchored in 10m of water over sand. It would be well over 18m in the main lagoon.


Snorkeling was definitely not what kept us at Little Broadhurst as we saw nothing but bare substrate during our snorkel, even on the outside edge of the reef. The consolation prize was spotting two sets of Orangefin Anemonefish. We particularly liked the purple anemone which is what attracted our attention.




The Darley Reefs
Our next hop was a longer one, 30nm in very light conditions. We sailed under main and jib to the Darley Reefs. We had never been there before so worth a look, although we admit we were not expecting much⦠just a change of scenery, getting us closer to the Whitsundays. But we were pleasantly surprised and would go back there.
The Darley Reefs are a series of platform reefs separated by deep channels. We had identified a possible anchorage inside one of these. Our arrival and meander into our chosen spot was quite spectacular. Thanks to the satellite maps, we made our way in and anchored in 10m of water over sand. We found there was current inside so we were not sitting the way we expected initially, but settled lying NE later on. We sent the drone up while we could as thunderstorms were not far away.



Of course we had to get in the water for a snorkel and spearfishing. We found the reef quite degraded but with an abundance of fish. You really felt like you were in a wild spot: large deep gutters, big fish, gorgonian fans, the compulsory sharks. We both had fun: Wade speared us a cray – first time ever – and two coral trout. Chris focused on beautiful angelfish, gorgonian fans and hydroids even though the light was dying with thunderstorms approaching. Here is a selection:
Back to the mainland

We have been dodging stormy weather this week and it has been a bit unsettling. Everywhere you look on the horizon you see large anvil clouds forming. Most afternoons there is thunder and lightning all around us, strong winds switching us 180 degrees as storms hit, and large downpours. We are continuing south but leaving the reef and heading back to the mainland. We will be at Airlie Beach this weekend to re-provision, then going to Mackay for engine servicing. November will see us continuing our southward track to get to the Gold Coast by the end of the year for some maintenance at The Boat Works. Beyond that we just don’t know. With weather events getting worse and happening with alarming frequency it is hard to plan very far ahead. But for now we are safe and doing a lot better than some of our friends in Victoria, NSW and Southern Queensland. With the amount of flooding going on at the moment a floating home by design makes a lot of sense!


































So many wonderful photos as always, guys. I am glad that you’ve been able to dodge the storms, be safe!
Thanks John!
Ya most welcome! ππ¦πΊ
Love the Harlequin Turkish! Safe sailing. See you further down the coast. xx
Ok! Avoid the nasty thunderstorms!
Yes, you too. We were swung around 180 degrees last night so we know what that feels like…but the storm was thankfully to the south of us!
I remember Keeper Reef was a good one. Congratulations on the Cray, more to come I’m sure.
Hi Maree, Yes we thought of you as we revisited these reefs! The cray was gorgeous.
In some of the Keeper reef images, it looks like reflections of plate coral made by the top of the water. Nice!
Hi Murray, yes on a still sunny day the coral is reflected on the surface and it looks like marbling on the water.
Fabulous pics safe travels
Thanks Dianne π
So many happy pictures ….. thanks again guys! Unusual having the small school of squid swimming around the boat? Did you have crispy deep fried calamari thoughts?
We often have squids around mooring lines and under our hulls. You bet we had cooking thoughts, but they were very small, all eyes, really!
Pity! π
Great posts and fantastic photos and descriptions of the fish and coral. Thanks
You are welcome, Mick. Thanks for the feedback.
You made a lovely trip south liked your photos. It is soo interesting how different the reefs are in spite of being so close.. enjoy the Whitsundays.
Thanks Sue. The first part of the trip south is done – Cairns to Whitsundays. Next comes the stretch to the Southern Reefs once we have had our engines serviced!